Buceo Tenerife
Centro de Buceo Los Gigantes

Buceo en Tenerife

Somos el primer centro PADI y BSAC de Tenerife, y llevamos 35 años ofreciendo buceo de calidad, cursos y excursiones de snorkel durante todo el año, con los niveles más altos de seguridad en el rincón más hermoso de Tenerife.

Centro PADI 5 Estrellas Registrado BSAC 35+ años de experiencia Zona Marina Protegida
35+
Años establecidos
20+
Sitios de buceo
40m
Profundidad máxima
19-24°C
Temp. del agua

Ubicado en el Puerto de Los Gigantes

Estamos ubicados directamente en el puerto de Los Gigantes, situado en la espectacular esquina occidental de Tenerife bajo los magníficos acantilados de 600 metros.

Estas antiguas paredes volcánicas se sumergen dramáticamente en el Atlántico, sus oscuras caras vigilan las aguas donde delfines y calderones hacen su hogar. Desde nuestra embarcación semirrígida de 7,5 metros, los sitios de buceo están a solo 3-15 minutos.

Encuéntranos
Barco del Centro de Buceo Los Gigantes

Por Qué Bucear Con Nosotros

Certificado PADI y BSAC

El primer centro PADI de Tenerife y registrado en BSAC. Nuestro instructor jefe posee las certificaciones de BSAC 3 Star Instructor y PADI Master Instructor. Se reconocen titulaciones de todas las agencias de buceo.

Zona Marina Protegida

La costa donde realizamos todas nuestras inmersiones ha sido declarada zona protegida. La pesca está restringida y la vida marina se multiplica rápidamente: especies en peligro que antes eran raras ahora se ven con frecuencia.

La Seguridad es lo Primero

En cumplimiento con la ley española, nuestro barco siempre está tripulado por un patrón certificado mientras los buceadores están en el agua. Un instructor o Divemaster dirige cada inmersión. Disponemos de oxígeno y botiquín de primeros auxilios a bordo en todo momento.

Equipo Completo Disponible

Nuestro centro de buceo dispone de instalaciones de almacenamiento para equipo personal. Si no tienes tu propio equipo de buceo, disponemos de alquiler completo, incluyendo cámaras GoPro.

Muchos Sitios de Buceo por Explorar

Visitamos regularmente más de 20 sitios de buceo diferentes con espectaculares paisajes volcánicos, arcos y cavernas con mucho que ofrecer para satisfacer todos los niveles de formación. Las profundidades en alta mar alcanzan los 2000 metros, pero establecemos un límite prudente de 40 metros en nuestras inmersiones.

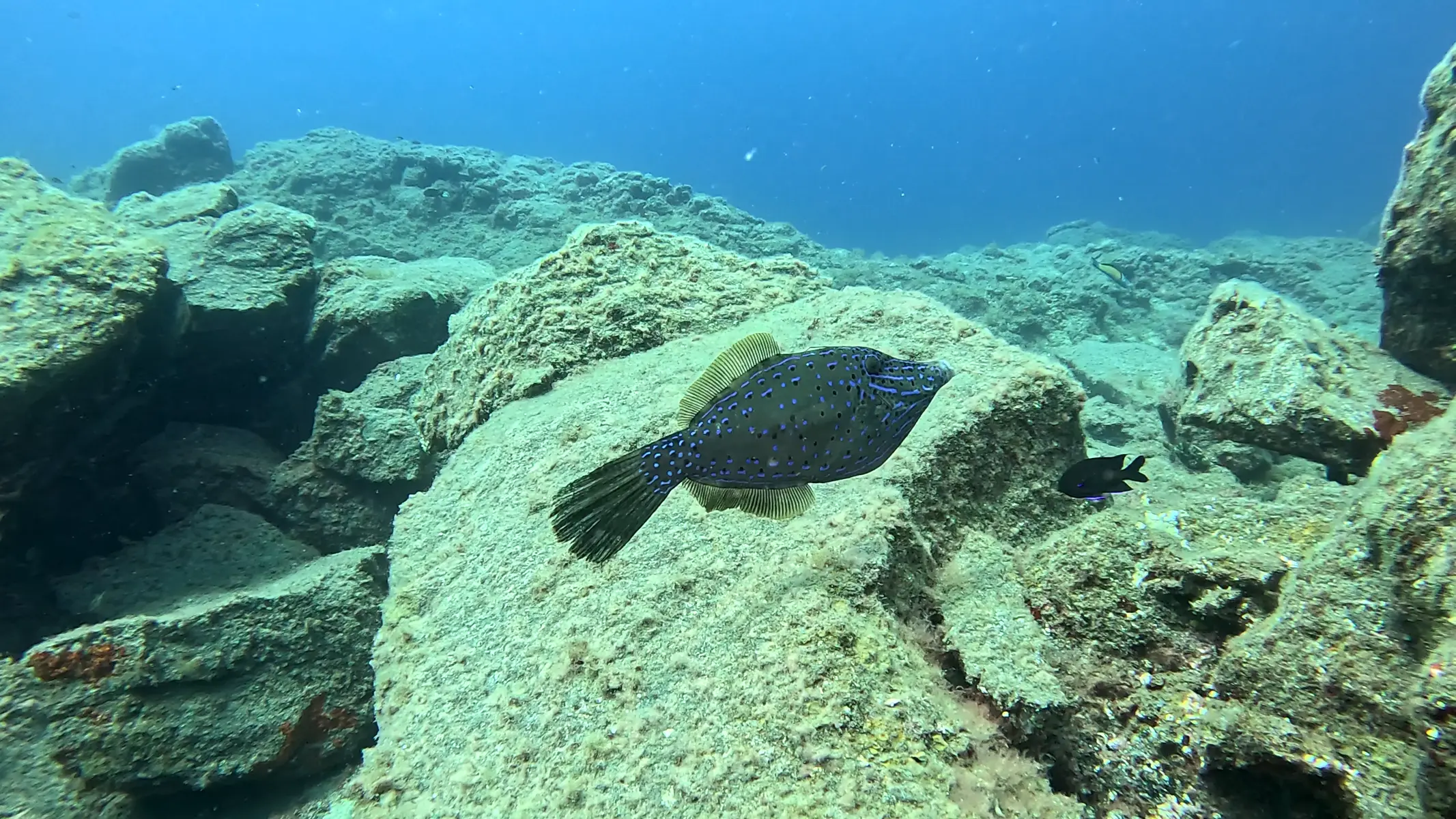
Estar en el Océano Atlántico subtropical significa que tenemos una increíble diversidad de vida marina. No olvides tu cámara, o alquila una de nuestras GoPros.

Explorar sitios de buceo
Paisaje volcánico
Arcos, cavernas y formaciones espectaculares
Todos los niveles
Sitios adecuados para cada titulación
Límite de profundidad
40 metros máximo (requerido por ley)
Atlántico subtropical
Gran diversidad de vida marina

Horario de Inmersiones

Hacemos inmersiones dos veces al día (y a veces tres en temporada alta). Siempre regresamos al puerto entre inmersiones para una pausa para café y cambiar las botellas.

09:30
Inmersión matutina
12:00
Inmersión del mediodía
Temporada alta
14:00 para bautizos de buceo y snorkel

Encuentra Tu Experiencia

Escríbenos por WhatsApp

Dinos tus fechas + nivel de certificación y planificaremos las mejores inmersiones para ti.

(+34) 637 819 204
divinglosgigantes@gmail.com
Escríbenos